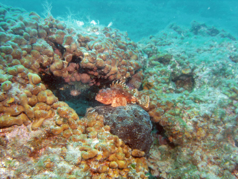
skorpena i gąbka (skorpaena i chondrosia reniformis)

<<<powrót>>>

skorpena i gąbka (skorpaena i chondrosia reniformis)
Data/czas:
2007.07.29, 15:44
Aparat:
Olympus C-7070
Lokalizacja:
Chorwacja, Sveta Marina
Miejsce:
wejście z dużej plaży, za lewą ścianą


Główna | Flora&Fauna | Miejsca
Sprzęt foto | Linki
Astronomia
Strony wykonane przy pomocy
CoreEditor Photoshop Elements
Valid HTML 4.01! Valid CSS!